$1,750,000
 $9,936 est/mo Sourced by Back At You

16614 Ella Boulevard,Houston, TX 77090

Houston, TX 77090

Share:

Description

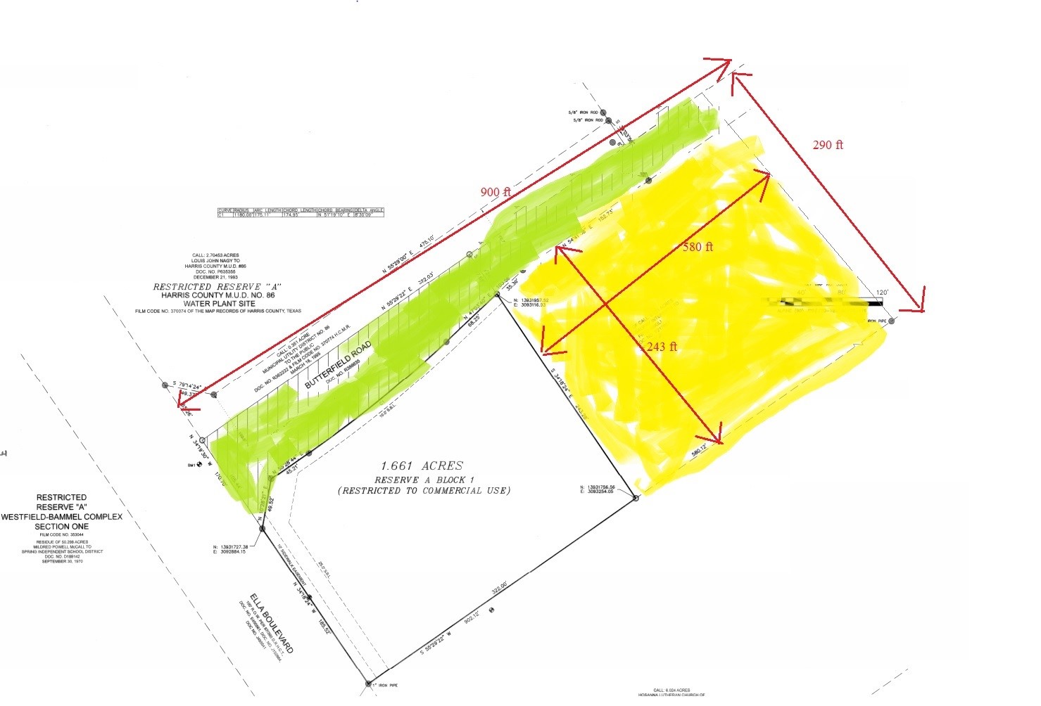
4+ Acres of Land Available (Yellow & Green Area). 3+ Acres (Yellow Usable Area), Located in the Heart of FM1960 for Commercial or Residential Use. Land situated directly across from a Highschool and Close to Long Term Assisted Living. Green Highlighted Area is Reserved for Butterfield Rd. Project forthcoming by Harris County. County Planning Intends to Install Traffic Light and Roads/Sidewalks on the Corner of Ella & Butterfield. Usable 3+ Acres is Ideal for Multifamily Residential Use. No Restrictions. Call with Questions!

Details

MLS #62572082
Listing TypeFor Sale
Sub-TypeResale
StatusActive
Days On Site161
Listing Provided ByCentury 21 Olympian - Toke Properties | Toke Ettehadieh

Features

Acreage3.00

Taxes

Property19997

Area Information

StateTX
CountyHarris
CityHouston
Zip Code77090
Area13
Subarea1960 | Cypress Creek South
Community NameC Walter
School District48 - Spring
Elementary SchoolBAMMEL ELEMENTARY SCHOOL
High SchoolWESTFIELD HIGH SCHOOL
Sourced by Back At You

Request a showing

Request a showing

Loading Form

MLS Internet Data Exchange (IDX) information is provided exclusively for consumers’ personal, non-commercial use and may not be used for any purpose other than to identify prospective properties consumers may be interested in purchasing, and that the data is deemed reliable but is not guaranteed accurate by the Houston Association of REALTORS®.

Contact

Learn More About This Property

StateTX
CountyHarris
CityHouston
Zip Code77090
Area13
Subarea1960 | Cypress Creek South
Community NameC Walter
School District48 - Spring
Elementary SchoolBAMMEL ELEMENTARY SCHOOL
High SchoolWESTFIELD HIGH SCHOOL
Sourced by Back At You
Listing Updated: October 31, 2025 at 6:10:51 AM PDT